Área de Conservación Guanacaste
Fuente de Vida y Desarrollo
Inicio
ACG
¿Qué es el ACG?
Historia
Designaciones Internacionales
Convención sobre la Protección del Patrimonio Mundial
ACG Sitio Patrimonio Mundial
Convencíon Ramsar
Manglar de Potrero Grande, Sitio Ramsar
Laguna Respingue, Sitio Ramsar
Organización
Consejo Regional del ACG
Asesoría Legal
Gestión Administrativa
Planificación
Recursos Humanos
Donaciones y Colaboraciones
Donar
Transparencia
Noticias
Logos del ACG
Contacto
Catálogo de trámites
Voluntariado
Biodesarrollo
¿Qué es Biodesarrollo?
Programa de Ecoturismo
Datos de Visitación Turistica
Programa de Educación Biológica
Programa de Investigación
Programa de Sectores
Sector Santa Rosa
Sector Junquillal
Sector Pailas
Sector Santa María
Sector Murciélago
Sector Pocosol
Sector Cacao
Sector Orosí
Sector El Hacha
Sector San Cristobal
Sector Santa Elena
Sector Pitilla
Sector Horizontes
Sector Rincon Rain Forest
Sector Mundo Nuevo
Sector Aguacatales
Sector Del Oro
Area Marina de Manejo Bahía Santa Elena
Programa Manejo del Fuego
Programa de Restauración y Silvicultura
Programa de Restauración y Silvicultura
Estación Experimiental Forestal Horizontes
Arboretum de Bosque Seco Tropical
Sector Marino ACG
Centro de Investigación y Estaciones Biológicas
Reservaciones
Centro de Investigación del Bosque Tropical Seco
Estación Biológica Nancite
Estación Experimetal Forestal Horizontes
Estación Biológica Isla San José
Estación Biológica Maritza
Estación Biológica Cacao
Estación Biológica Pitilla
Estación Biológica Botarrama
Estación Biológica Caribe
Estación Biológica Leiva
Estación Biológica La Perla
Estación Biológica Llanura
Estación Biológica Los Almendros
Estación Biológica Quica
Estación Biológica San Gerardo
Estación Biológica San Cristobal
Puesto Sector Santa María
Puesto Murciélago
Estación Biológica Wege
Estación Biológica Brasilia
Sistemas de Información Geográfica
Capas SIG
Mapas del ACG
Tecnologías de Información y Comunicación
Programa de Gestión Ambiental Institucional
Antecedentes
Acciones Implementadas
Material Informativo
Noticias
Galería
Área Marina de Manejo Bahía Santa Elena
Corredor Turístico Costero La Cruz
Ecoturismo
Sitios Turisísticos en el ACG
Sector Santa Rosa
Sector Santa Rosa
Museo Histórico La Casona
Playa Naranjo, Sector Santa Rosa
Línea de Tiempo Hacienda Santa Rosa
Sendero Indio Desnudo
Sendero noventa y nueve
Sector Pailas, Volcán Rincón de la Vieja
Sector Junquillal
Sector Murciélago
Sector Santa María, Volcán Rincón de la Vieja
Sector Horizontes
Sector Marino
Educación
Educación en el ACG
Programa de Educación Biológica
¿Qué es el PEB?
Historia y Sistematización
Unidades Educactivas
Metodología del PEB
Actualidad, PEB activo
Donaciones
Mural Bioalfabeticemonos
Compendio de Actividades de Educación Ambiental para Escolares de II Ciclo
Punto Verde
Experiencias PEB
Rally, en busca de tesoros del ACG.
Educación Ambiental
Biosensibilización Marina
Bosque Seco Virtual
Boletín Rothschildia
Páginas de Especies
Observaciones de Biodiversidad
Libros para descargar
Investigación
Investigación en el ACG
Historia del Programa de Investigación
Programa de Parataxónomos
Investigaciones de Largo Plazo
Trámites para Permisos de Investigación
Cursos y Grupos
Filmaciones y Fotografías
Estaciones y Facilidades
Reservaciones
Preguntas Frecuentes
Mapas
Datos Meteorológicos
Datos Meteorológicos
Estación Meteorológica Santa Rosa
Páginas de Especies
Historia Natural de Costa Rica
Coleoptera de ACG
BioLep
Bioalfa
Protección
Programa Manejo del Fuego
Programa de Sectores
Prevención, Protección y Control
Sector Marino
Delitos contra las áreas protegidas
Impactos Negativos en la Biodiversidad
Denuncias Ambientales
Recursos Forestales y Vida Silvestre
Oficina Subregional Liberia
Permisos y Trámites
Vida Silvestre
Recurso Hídrico
Protección y Control
Corredores Biológicos
Patrimonio Natural
Pago Servicios Ambientales
Programa de Restauración y Silvicultura
Estación Experimetal Forestal Horizontes
Noticias
Ver todas las Noticias
Noticias ACG
Noticias Programa de Gestión Ambiental Institucional
Noticias Programa de Ecoturismo
Noticias del Programa de Educación Biológica
Noticias Programa de Investigación
Noticias Programa Manejo del Fuego
Noticias Programa de Sectores
Noticias Oficina Subregional de Liberia
Noticias de Restauración y Silvicultura
Noticias de Educación Ambiental
Noticias de Biosensibilización Marina
Noticias Sector Marino
Noticias Programa de Prevención Protección y Control
Noticias de AMM Bahía Santa Elena
Galería
Fotografías
Paisajes del ACG
Sector Santa Rosa
Sector Pailas
Sector Junquillal
Sector Murciélago
Sector Santa María
Sector Marino
Fauna del ACG
Fotos Históricas Hacienda Santa Rosa
Programa de Educación Biológica
ACG día a día
Fotografías Aéreas de ACG
Programa de Gestión Ambiental Institucional
Videos ACG
ACG 360
Paisajes 360 del ACG
Casona de Santa Rosa, Tour Virtual
Contrastes del Bosque Seco
Sonidos del ACG
ACG Gigapan
Charlas
Inicio
▶
Galería
▶
Fotografías
▶
Fotos Históricas Hacienda Santa Rosa
▶
Páginas de Especies
Antiblemma
Poole16 (Erebidae)
Base de hoja
Miconia macrophylla
Base de hoja parte del haz .
Miconia macrophylla
Botones florales Frutos inmaduros
Miconia macrophylla
.jpg.
Botones florales Frutos inmaduros
Miconia macrophylla
.
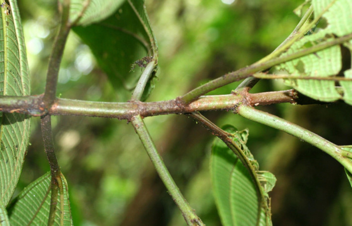
Coloración tallos y pecolos
Miconia macrophylla
Coloración tallos y peciolos
Miconia macrophylla
Frutos inmaduros
Miconia macrophylla
.jpg.
Frutos inmaduros
Miconia macrophylla
.jpg.
Habitat de
Miconia macrophylla
, creciendo en stobosque.jpg.
Habitat de
Miconia macrophylla
, creciendo en stobosque.jpg.
Hoja haz
Miconia macrophylla
.jpg.
Hoja haz
Miconia macrophylla
.jpg.
Lámina haz hoja
Miconia macrophylla
Lámina haz hoja
Miconia macrophylla
Relieve envés
Miconia macrophylla
Relieve envés
Miconia macrophylla
Planta entera
Miconia macrophylla
.jpg.
Planta entera
Miconia macrophylla
.jpg.
Peciolo de
Miconia macrophylla
Peciolo de vista por el énves
Miconia macrophylla
Posición de hojas
Miconia macrophylla
Posición de hojas
Miconia macrophylla
Presentación salida de inflorescencia
Miconia macrophylla
Presentación salida de inflorescencia
Miconia macrophylla
1
2
3
4
5
6
7
8
9
10
11
12