Adulto de Fountainea confusa (Nymphalidae):
Su coloración dorsal en el alas anteriores y posteriores presenta una pigmentación de las escamas de color azul, característica de esta especie, tiene unas escamas negras en las puntas de las alas, dejando unas escamas rojas encerrada en las alas (Fig. 1), alas en su vista ventral anteriores y posteriores de color café (Fig. 2), su envergadura alar es de 42 mm.
Figura 1. Adulto Fountainea chrysophana (Nymphalidae). Vista dorsal, envergadura alar del macho 42 mm de longitud. Voucher: 02-SRNP-21057-DHJ34712. Bin: BOLD:AAB3158.
Figura 2. Adulto Fountainea chrysophana (Nymphalidae). Vista ventral, envergadura alar macho 42 mm de longitud. Voucher: 02-SRNP-21057-DHJ34713. Bin: BOLD:AAB3158.
La hembra no presenta una pigmentación azul en sus alas, escamas negras en las puntas de las alas, quedando unas escamas amarillas encerradas que llegan al borde del ala (Fig. 3), alas posteriores rojas, vista ventral color café con amarillo (Fig. 4).
Figura 3. Adulto Fountainea chrysophana (Nymphalidae). Vista dorsal, envergadura alar hembra 45 mm de longitud. Voucher: 08-SRNP-32697-DHJ399844. Bin: BOLD:AAB3158.
Figura 4. Adulto Fountainea chrysophana (Nymphalidae). Vista ventral, envergadura alar hembra 45 mm de longitud. Voucher: 08-SRNP-32697-DHJ399845. Bin: BOLD:AAB3158.
Larva de Fountainea chrysophana (Nymphalidae) en último estadío:
Cuerpo color verde claro con puntos blancos como granulados en todo el cuerpo, tiene dos manchas negras en la parte de los costados (Fig. 6), cabeza con 7 cuernitos o protuberancias amarillas, en la parte dorsal de la cabeza dos cuernos negros pequeños bifurcados (Fig. 5), cabeza de frente de color crema con 6 líneas negras, 1 en forma de V pero invertida (Fig. 7).
Figura 5. Larva Fountainea chrysophana (Nymphalidae). Vista lateral, último estadío, 30 mm de longitud. Foto: 27 Mayo 2017. Voucher: 17-SRNP-26801-DHJ731156.jpg.
Figura 6. Larva Fountainea chrysophana (Nymphalidae). Vista dorsal, último estadío, 30 mm de longitud. Foto: 27 Mayo 2017. Voucher: 17-SRNP-26801_DHJ731158.jpg.
Figura 7. Larva Fountainea chrysophana (Nymphalidae). Vista dorsal, mostrando cabeza de frente, último estadío, 30 mm de longitud. Foto: 27 Mayo 2017. Voucher: 17-SRNP-26801_DHJ731157.jpg.
Figura 8. Larva Fountainea chrysophana (Nymphalidae). Vista lateral, último estadío, 30 mm de longitud. Foto: 27 Mayo 2017. Voucher: 17-SRNP-26801_DHJ731154.jpg.
Diferencias de dos adultos de Fountainea.
Supongamos que estamos en el campo, con el día asoleado, en el trayecto del camino se pueden apreciar diferentes plantas con sus flores llamativas, esperando a que lleguen sus polinizadores natural, de repente pasan unas mariposas volando Fountainea eurypyle (Nymphalidae), Fountainea chrysophana (Nymphalidae), pero al verlas volar se nos parecen que es la misma una de la otras, se posan en unas flores que están cerca, nos acercamos mas para tomar unas fotos, cuando nos vamos acercando a esperar que abran sus alas, de repente una abre sus alas por un instante y las vuelve a cerrar, la otra que estaba posada en otra flor hace lo mismo, noto que una tiene una coloración en sus alas diferente a la otra, pero no estoy seguro de lo que vi por un momento, seguimos ahí casi inmóviles esperando que no se vayan y que vuelvan abrir sus alas para poder tomar unas fotos y estar seguros que son diferentes en sus coloraciones de las alas. Por lo visto se trata de dos especies diferentes, pero muy parecidas en su vuelo y comportamiento.
1) Adulto de Fountainea confusa (Nymphalidae) poseen en las alas tanto en anteriores como en la posteriores la pigmentación de las escamas de color azul, esto esta presente en los machos de Fountainea chrysophana (Nymphalidae).
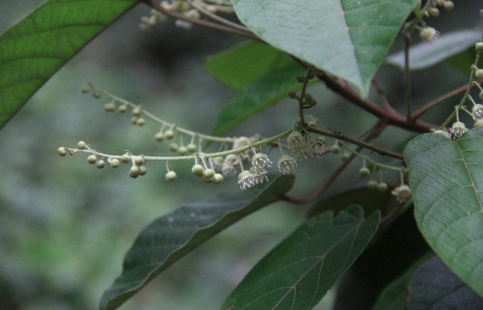
Figura 9. Adulto Fountainea chrysophana (Nymphalidae). Vista dorsal, envergadura alar del macho 51 mm de longitud. Voucher: 13-SRNP-43677-DHJ583896.jpg. Bin: BOLD:AAB3158.
Figura 10. Adulto Fountainea chrysophana (Nymphalidae). Vista ventral, envergadura alar del macho 51 mm de longitud. Voucher: 13-SRNP-43677-DHJ583897.jpg. Bin: BOLD:AAB3158.
2) Por otra parte los adultos de Fountainea eurypyle (Nymphalidae) presentan una pigmentación negro en sus alas anteriores (Fig. 11), no presente en las alas posteriores de los machos de F. eurypyle. Macho por la parte ventral de color café, posee 2 líneas negras en cada ala separadas entre si (Fig. 12).
Figura 11. Adulto Fountainea eurypyle (Nymphalidae). Vista dorsal, envergadura alar del macho 47 mm de longitud. Voucher: 02-SRNP-2751-DHJ97182.
Figura 12. Adulto Fountainea eurypyle (Nymphalidae). Vista ventral, envergadura alar del macho 47 mm de longitud. Voucher: 02-SRNP-2751-DHJ97183.
La hembra de Fountainea eurypyle (Nymphalidae) tiene escamas negras en las alas anteriores, quedando unas escamas amarillas encerradas que llegan al borde del ala (Fig. 13), alas posteriores rojas, vista ventral color cafe con manchas amarillas (Fig. 14).
Figura 13. Adulto Fountainea eurypyle (Nymphalidae). Vista dorsal, envergadura alar hembra 56 mm de longitud. Voucher: 98-SRNP-7666-DHJ33766.
Figura 14. Adulto Fountainea eurypyle (Nymphalidae). Vista ventral, envergadura alar hembra 56 mm de longitud. Voucher: 98-SRNP-7666-DHJ33767.
Planta hospedera de Fountainea chrysophana (Nymphalidae) es Croton billbergianus (Euphorbiaceae):
Árboles creciendo en bosques secundarios, camino abiertos. Árboles pueden llegar a medir hasta 15 a 20 metros de altura. Flores de color verde claro (Fig. 16), crecen en ramificación, individual cada una, cuando las tocamos notamos que tienen una pubescencia áspera de color rojizo (Fig. 18), hojas por arriba verdes, por el envés verde claro (Fig. 20) Al corta una rama o hoja tiene látex transparente y pegajoso.
Figura 15. Planta hospedera Croton billbergianus (Euphorbiaceae) de Fountainea chrysophana (Nymphalidae), planta de 10 metros de altura, mano derecha. Foto: Freddy Quesada, 7 Junio 2020.
Figura 16. Planta hospedera Croton billbergianus (Euphorbiaceae) de Fountainea chrysophana (Nymphalidae), mostrando la floración. Foto: Freddy Quesada, 7 Junio 2020.
Figura 17. Planta hospedera Croton billbergianus (Euphorbiaceae) de Fountainea chrysophana (Nymphalidae), mostrando las flores. Foto: Freddy Quesada, 7 Junio 2020.
Figura 18. Planta hospedera Croton billbergianus (Euphorbiaceae) de Fountainea chrysophana (Nymphalidae), pubescencia áspera de color rojizo. Foto: Freddy Quesada, 7 Junio 2020.
Figura 19. Planta hospedera Croton billbergianus (Euphorbiaceae) de Fountainea chrysophana (Nymphalidae), mostrando el haz de hoja de color verde. Foto: Freddy Quesada, 7 Junio 2020.
Figura 20. Planta hospedera Croton billbergianus (Euphorbiaceae) de Fountainea chrysophana (Nymphalidae), mostrando la hoja por el envés de color verde claro. Foto: Freddy Quesada, 7 Junio 2020.
Planta hospedera de Fountainea chrysophana (Nymphalidae) es Croton billbergianus (Euphorbiaceae):
Por el momento solo tenemos 12 registros en la base de datos, de los cuales 11 se han colectado en Croton billbergianus (Euphorbiaceae), 1 en Croton schiedeanus (Euphorbiaceae).
1) Sector Rincon Rain Forest: 6 registros, elevación 96 a 410 metros, 6 en Croton billbergianus (Euphorbiaceae).
2) Sector San Cristobal: 1 registros, elevación 527 metros, 1 en Croton billbergianus (Euphorbiaceae).
3) Sector Pitilla: 4 registros, elevación 390 a 440 metros, 3 en Croton billbergianus (Euphorbiaceae), 1 Croton schiedeanus (Euphorbiaceae).
4) Sector Brasilia: 1 registros, elevación 340 metros, 18 en Croton billbergianus (Euphorbiaceae).
Larva Fountainea confusa (Nymphalidae), solo tenemos en la base de datos 12 registros. Lo cual hace pensar que tal vez la estamos confundiendo con la larva que es un poco mas común Fountainea eurypyle, se parece un poco.























