Estación Biológica Caribe en Area de Conservación Guanacaste (ACG), Sector Rincón Rain Forest: Se encuentra ubicada al lado norte del país en la provincia de Alajuela, en la Cordillera al pie del Volcán Rincón de la Vieja. La larva, Parides zestos de la familia (Papilionidae) es monitoreada por el proyecto de investigación e inventario de Lepidoptera, que actualmente se lleva a cabo en ACG, por el Dr. Daniel Janzen, Dra. Winnie Hallwachs, y los Parataxónomos y Parataxónomas.
En este proceso de investigación las larvas son colectadas, observadas y analizadas en todo su ciclo de vida, y así poder determinar la especie y posibles parásitos que la ataquen, (Fig.1). Después de la colecta de larvas, al criarlas se debe durante la semana dedicar dos días a limpieza de plantas y cambiar comida para que continúen con ciclo de vida.
Figura 1. Huevo de Parides zestos, familia (Papilionidae), Voucher. 17-SRNP-31310-DHJ736920.
La larva Parides zestos, familia Papilionidae: Sus colores Café y morado tiene unos picos en forma de espinas, esto les sirve para espantar a los depredadores; esta larva se alimenta de la planta Aristolochia tonduzii de la familia Aristolochiaceae, es un bejuco trepador le gusta los bosque húmedos secundarios para enredarse entre los matorrales.
 
Figura 2. Posición lateral de Parides zestos, familia (Papilionidae). 17-SRNP-31310-DHJ739131.
Figura 3. Posición dorsal de Parides zestos, familia (Papilionidae). Voucher 17-SRNP-31310-.DHJ739130.
Figura 4. Posición lateral de Parides zestos, familia (Papilionidae). Voucher 95-SRNP-6067-DHJ23862.
Figura 5. Posición dorsal de Parides zestos, familia (Papilionidae). Voucher 95-SRNP-6067-DHJ23861.
Figura 6. Posición lateral de Parides zestos, familia (Papilionidae). Voucher 00-SRNP-164-DHJ52514.
Prepupa Parides zestos, familia Papilionidae: En este estadio que prácticamente no se alimenta durante unos 15 a 20 días mientras eclosiona el adulto, esta prepupa su color es practicamente el mismo, solo que ahí donde está queda inmóvil continuando con su ciclo de vida.
Cuando esta larva llegan a este estadio corren el riesgo de ser devoradas por depredadores como por ejemplo aves, que se alimentan de este tipo de insectos, a veces a ésta larva le sirve de protección su color camuflado entre los matorrales.
 
Figura 7. Posición lateral de Parides zestos, familia (Papilionidae). Voucher 08-SRNP-4604-DHJ437566.
Figura 8. Posición dorsal de Parides zestos, familia (Papilionidae). 08-SRNP-4604-DHJ437567.
Pupa de Parides zestos, familia Papilionidae: Su color verde con la parte del dorso amarillo, en (Fig. 9) se observa como se prepara cuando siente que ya esta en etapa final, ésta viene y se amarra con una seda que está misma produce en un tallito de la planta, esto lo hacen para sostenerse de las ramas, y así no caer al suelo y continuar su estadio de pupa hasta que eclosione el adulto.
Figura 9. Pupa de Parides zestos  en posición dorsal, familia (Papilionidae). 03-SRNP-6082-DHJ74099.
Figura 10. Pupa de Parides zestos  en posición dorsal, familia (Papilionidae). 00-SRNP-165-DHJ52520.
Adulto Parides zestos familia Papilionidae: Sus colores muy diferentes a los de la larva, el macho es de color café con manchas verde en las alas superiores, en las alas posteriores tiene celdas de colo rojo, igual le observamos puntitos de color blanco en el borde de las alas. La hembra es del mismo color café que tiene el macho, pero ella los tiene en alas anteriores manchas de color blanco, y más manchitas de color rojo en alas posteriores (Fig. 11 , 12 , 13 y 14).
Figura 11. Adulto de Parides zestos posición dorsal, familia (Papilionidae). 00-SRNP-165-DHJ38742.
Figura 12. Adulto de Parides zestos posición ventral, familia (Papilionidae), 00-SRNP-165-DHJ38743.
Figura 13. Adulto de Parides zestos posición dorsal,  familia, (Papilionidae). 93-SRNP-427-DHJ38738.
Figura 14. Adulto de Parides zestos posición ventral, familia, (Papilionidae).93-SRNP-427-DHJ38739.
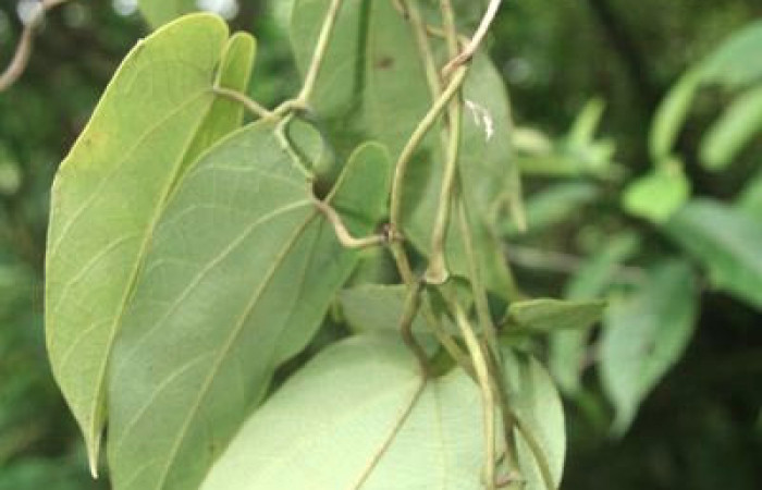
Planta hspedera Aristolochia tonduzii, (Aristolochiaceae): Esta planta es muy común encontrar en bosques húmedos secundarios le gusta enrredarse entre los marorrales buscando la luz del sol, en (Fig. 15 ) la observamos una hoja con color verde brillante y forma acorazonada. En (Fig. 16 ) tenemos lo que es la parte del bejuco y podemos observar como se enrreda en ella misma. En (Fig. 17 ) podemos visualisar lo que es la fruta seca ya casi se caen las semillas al suelo y así de ella pueda que germinen las semillas de la cual tendremos mas de esta planta durante unos días.
Esta planta es muy escaza de poder observar por motivo de que le gusta treparse entre los arbustos mas altos para buscar el sol. Esta planta es muy apetecida por esta larva Parides zestos, Papilionidae.
 
Figura 15. Hoja de planta Aristolochia tonduzii, (Aristolochiaceae), hospedera de la larva Parides zestos, Papilionidae. Foto, Jorge Hernández.
Figura 16. Planta Aristolochia tonduzii, (Aristolochiaceae), hospedera de la larva Parides zestos, Papilionidae. Foto, Jorge Hernández.olochia tonduzii2 
 
Figura 17. Fruto de planta  Aristolochia tonduzii (Aristolochiaceae), hospedera de la larva Parides zestos, Papilionidae. Foto, Jorge Hernández.
                    
    



















