Figura. 1 Habitad Gouania polygama, (Rhamnaceae). Area de Conservación Guanacaste. Sector Rincón Rain Forest, Estación Leiva, Cafecito, (elevación 455 metros). Colectada el 15 Abril 2021. Foto. Jorge Hernández.
Gouania polygama (Rhamnaceae): Bejuco trepador de dos metros de altura creciendo en margen de bosque, en potreros secundarios a una elevación de 600 metros sobre el nivel del mar, en bosque lluvioso, (Fig. 1).
Gouania polygama: Hojas simples alternas con margen ondulado, envés verde claro y haz verde brillante, (Fig. 2,3,4).
Figura. 2 Posición hojas Gouania polygama, (Rhamnaceae). Area de Conservación Guanacaste. Sector Rincón Rain Forest, Estación Leiva, Cafecito, (elevación 455 metros). Colectada el 15 Abril 2021. Foto. Jorge Hernández.
Figura. 3 Hoja haz Gouania polygama, (Rhamnaceae). Area de Conservación Guanacaste. Sector Rincón Rain Forest, Estación Leiva, Cafecito, (elevación 455 metros). Colectada el 15 Abril 2021. Foto. Jorge Hernández.
Figura. 4 Envés Gouania polygama, (Rhamnaceae). Area de Conservación Guanacaste. Sector Rincón Rain Forest, Estación Leiva, Cafecito, (elevación 455 metros). Colectada el 15 Abril 2021. Foto. Jorge Hernández.
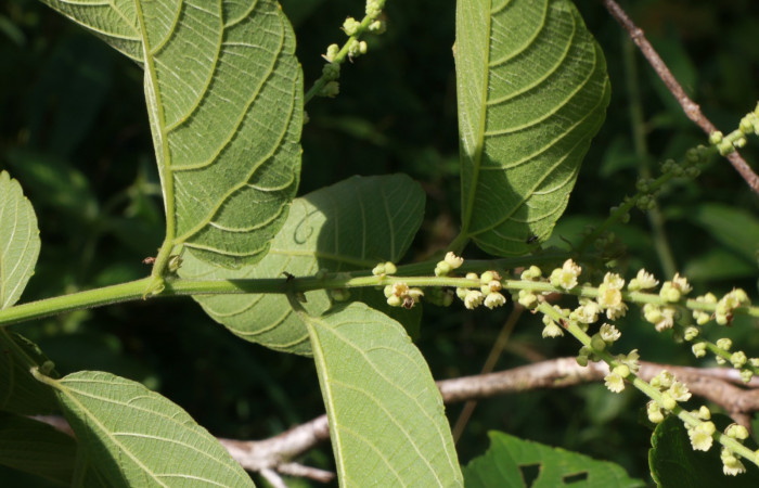
Gouania polygama: Flores blancas en espigas, ubicadas en puntas de ramas con pétalos blancos y estambres blancos con anteras café claro, flores polinizadas por abejas, (Fig. 5,6,7).
Figura. 5 Flores en espiga Gouania polygama, (Rhamnaceae). Area de Conservación Guanacaste. Sector Rincón Rain Forest, Estación Leiva, Cafecito, (elevación 455 metros). Colectada el 15 Abril 2021. Foto. Jorge Hernández.
Figura. 6 Flores en espiga Gouania polygama, (Rhamnaceae). Area de Conservación Guanacaste. Sector Rincón Rain Forest, Estación Leiva, Cafecito, (elevación 455 metros). Colectada el 15 Abril 2021. Foto. Jorge Hernández.
Figura. 7 Flores en espiga Gouania polygama, (Rhamnaceae). Area de Conservación Guanacaste. Sector Rincón Rain Forest, Estación Leiva, Cafecito, (elevación 455 metros). Colectada el 15 Abril 2021. Foto. Jorge Hernández.
En Gouania polygama, podemos encontrar una gran variedad de larvas alimentándose en esta planta, las podemos encontrar en bosque seco o lluvioso.
Larva Hypercompe albescens (Erebidae), en último estadio, color gris con líneas negras en su dorso, con manchas rojas en forma de circulo con pelos en forma de espinas que son utilizadas para protegerse de sus depredadores, (Fig. 8).
Adulto Hypercompe albescens, color crema en sus alas anteriores con muchas figuras color negras y parte de su abdomen y alas posteriores blancas, abdomen café peludo con una línea negra, (Fig. 9).
Figura. 8 Larva Hypercompe albescens (Erebidae), posición dorsal entero alimentándose en Gouania polygama, (Rhamnaceae). (83-SRNP-1296-DHJ6335.jpg).
Figura. 9 Adulto Hypercompe albescens (Erebidae), posición vista dorsal. (89-SRNP-447-DHJ39038).
Larva Erastria decrepitaria (Geometridae), color café con manchas negras en todo su dorso, con una mancha blanca en forma de triángulo antes de llegar a la cabeza, cabeza café, (Fig. 10).
Adulto Erastria decrepitaria, color amarilla en su zona discal y basal con manchas negras, sus alas posteriores y alas anteriores con puntos negros, con el submargen color café, abdomen amarillo con un par de antenas color morado y ojos falsos color negro, (Fig. 11).
Figura. 10 Larva Erastria decrepitaria (Geometridae), posición dorsal entero alimentándose en Gouania polygama, (Rhamnaceae). (05-SRNP-34067-DHJ424200.jpg).
Larva Crinodes besckei (Notodontidae), color amarilla con una línea negra en el centro de su dorso, en sus laterales tiene tres manchas blancas en forma de círculo, (Fig. 12).
Adulto Crinodes besckei, color café oscuro en alas anteriores con manchas negras en su zona discal y alas posteriores color café claro, abdomen café, (Fig. 13 ).
Figura. 12 Larva Crinodes besckei (Notodontidae), posición dorsal entero alimentándose en Gouania polygama, (Rhamnaceae). (19-SRNP-30839-DHJ765165.jpg).
Figura. 13 Adulto Crinodes besckei (Notodontidae), posición vista dorsal. ( 81-SRNP-35-DHJ32672).
                    
    
















