Combretum farinosum, (Combretaceae)
Area de Conservación Guanacaste (ACG), Costa Rica
Inventario de las Plantas de ACG
Jorge Hernández, Parataxónomo
Combretum farinosum (Combretaceae): Bejuco de 2 metros de altura creciendo en bosque tropical seco en margen de camino de área de conservación Guanacaste a una elevación de 0 a 500 metros sobre el nivel del mar.Esta especie de planta produce flores en la época de verano disminuyendo su follaje para dar su energía a las flores siendo así una liana muy llamativa en las partes de bosques secundarios, nombre común de este es papamiel, (Fig. 1–2).
Figura. 1 Habitad Combretum farinosum, (Combretaceae). Area de Conservación Guanacaste. Sector Santa Rosa. Sendero Casetilla, (elevación 250 metros). Colectada el 11 febrero  2022. Foto. Jorge Hernández. 
Figura. 2 Habitad Combretum farinosum, (Combretaceae). Area de Conservación Guanacaste. Sector  Santa Rosa. Sendero Casetilla. (elevación 250 metros), colectada el 11 febrero 2022. Foto. Jorge Hernández. 
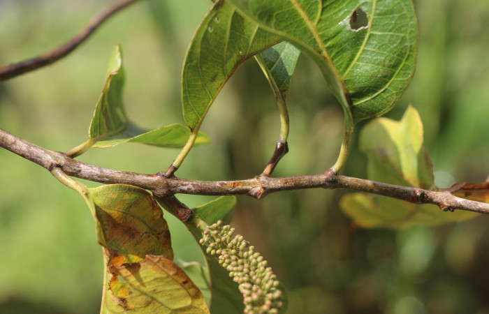
Combretum farinosum (Combretaceae): Hojas simples opuestas con margen entero haz verde brillante, envés verde claro, (Fig. 3–4-5).
Figura. 3 Posición de hojas  Combretum farinosum, (Combretaceae). Area de Conservación Guanacaste. Sector  Santa Rosa. Sendero Casetilla. (elevación 250 metros), colectada el 11 febrero 2022. Foto. Jorge Hernández. 
Figura. 4 Hoja haz Combretum farinosum, (Combretaceae). Area de Conservación Guanacaste. Sector  Santa Rosa. Sendero Casetilla. (elevación 250 metros), colectada el 11 febrero 2022. Foto. Jorge Hernández. 
Figura. 5 Hoja envés Combretum farinosum, (Combretaceae). Area de Conservación Guanacaste. Sector  Santa Rosa. Sendero Casetilla. (elevación 250 metros), colectada el 11 febrero 2022. Foto. Jorge Hernández. 
Combretum farinosum (Combretaceae): Flores rojas en espigas ubicadas en puntas de ramas, con estambres rojos anteras rojas oscuras, cáliz verde claro, botones florales rojos esféricos. (Fig. 6–7-8-9-10-11)
Figura. 6 Flores en rama Combretum farinosum, (Combretaceae). Area de Conservación Guanacaste. Sector  Santa Rosa. Sendero Casetilla. (elevación 250 metros), colectada el 11 febrero 2022. Foto. Jorge Hernández. 
Figura. 7 Flores laterales  Combretum farinosum, (Combretaceae). Area de Conservación Guanacaste. Sector  Santa Rosa. Sendero Casetilla. (elevación 250 metros), colectada el 11 febrero 2022. Foto. Jorge Hernández. 
Figura. 8 Flores laterales  Combretum farinosum, (Combretaceae). Area de Conservación Guanacaste. Sector  Santa Rosa. Sendero Casetilla. (elevación 250 metros), colectada el 11 febrero 2022. Foto. Jorge Hernández. 
Figura. 9 Flores de frente Combretum farinosum, (Combretaceae). Area de Conservación Guanacaste. Sector  Santa Rosa. Sendero Casetilla. (elevación 250 metros), colectada el 11 febrero 2022. Foto. Jorge Hernández. 
Figura. 10 Botones florales  Combretum farinosum, (Combretaceae). Area de Conservación Guanacaste. Sector  Santa Rosa. Sendero Casetilla. (elevación 250 metros), colectada el 11 febrero 2022. Foto. Jorge Hernández. 
Figura. 11 Flores laterales  Combretum farinosum, (Combretaceae). Area de Conservación Guanacaste. Sector  Santa Rosa. Sendero Casetilla. (elevación 250 metros), colectada el 11 febrero 2022. Foto. Jorge Hernández. 
En Combretum farinosum podemos encontrar una gran variedad de larvas alimentándose en esta planta.
En (Fig. 12,13), tenemos la larva y adulto de Neotuerta sabulosa (Noctuidae), larva color amarilla con cinturitas negras en todo su dorso y pelos blancos, su cabeza es color café con manchas negras y en su parte posterior tiene manchas color café.
Adulto color café con manchas blancas y negras en sus alas anteriores, sus alas posteriores son color café con amarillo, con el submargen color blanco y su abdomen café con una línea negra y manchas blancas.
Figura. 12 Larva Neotuerta sabulosa (Noctuidae), posición dorsal entero alimentándose en  Combretum farinosum, (Combretaceae). (91-SRNP-453-DHJ14072.jpg).
Figura. 13 Adulto Neotuerta sabulosa (Noctuidae), posición vista dorsal. (01-SRNP-12782-DHJ313750).
En (Fig. 14,15), tenemos la larva y adulto de Cephise aelius (Hesperiidae), en posición lateral es de color verde con líneas negras y seis manchas color rojas en forma cuadrada, con su lateral color rojo con cuatro patas, cabeza color café con un par de ojos fasos dolor naranja.
Adulto color café oscuro con manchas blancas en forma de cuadro en sus alas anteriores, con el submargen color blanco en sus alas posteriores y su abdomen café oscuro.
Figura. 14 Larva Cephise aelius (Noctuidae), posición lateral entero alimentándose en Combretum farinosum, (Combretaceae). (93-SRNP-8655-DHJ26499.jpg).
Figura. 15 Adulto Cephise aelius (Hesperiidae), posición vista dorsal. (94-SRNP-189-DHJ31547).
En (Fig. 16,17), tenemos la larva y adulto de Thagona tibialisDHJ02 (Erebidae), es de color blanca con una franja roja con líneas negras en el centro de su dorso, con círculos con puntos negros y manchas negras, con fránjalas color amarillas y pelos color blanco en sus laterales, cuello rojo cabeza negra brillante.
Adulto color blanco con cuatro manchas color café y dos negras en sus alas anteriores y sus alas posteriores color blanco con dos manchas color negras, abdomen color blanco con crema.
Figura. 16 Larva Thagona tibialisDHJ02 (Erebidae), posición dorsal entero alimentándose en Combretum farinosum, (Combretaceae). (95-SRNP-10532-DHJ26003.jpg).
Figura. 17 Adulto Thagona tibialisDHJ02 (Erebidae), posición vista dorsal. (96-SRNP-10219-DHJ33864).
                    
    
 



















